VIE 14 FEB
30°

Internacional

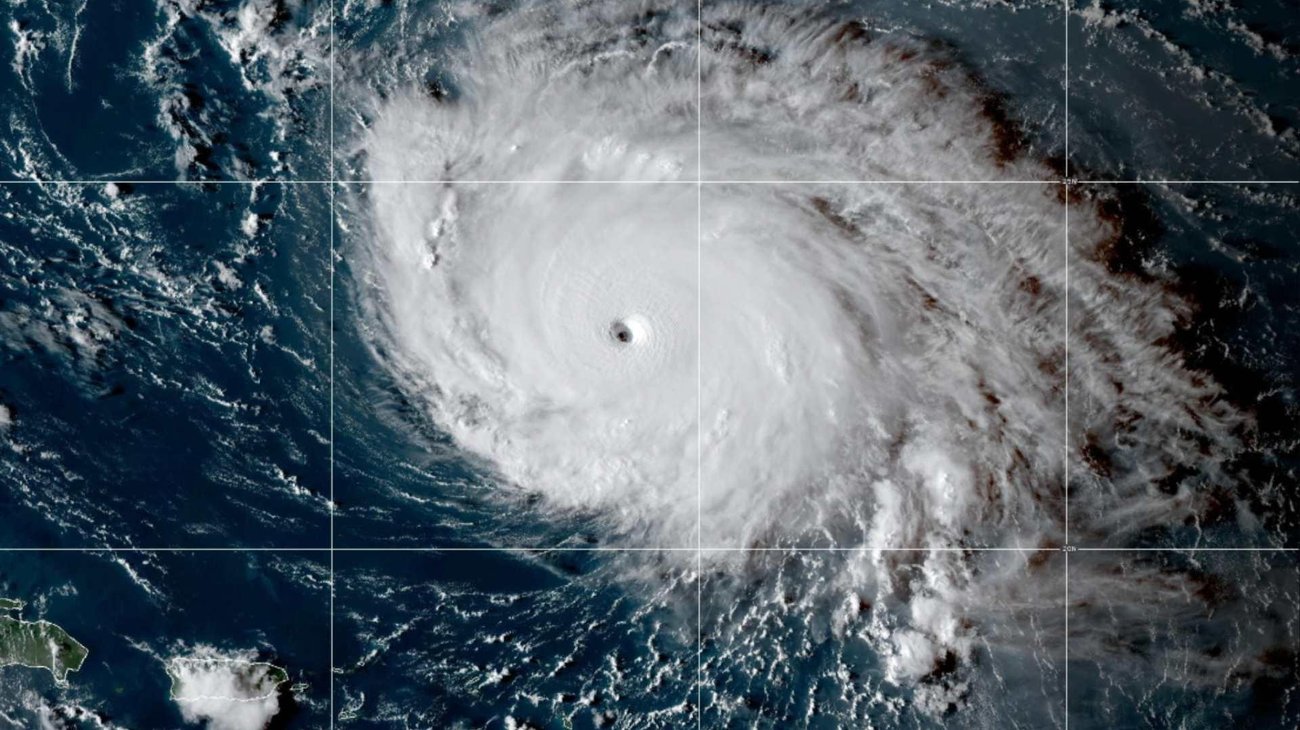
Huracán Humberto sube a categoría 5 afectando a EUA

Por: INFO 7

27 Septiembre 2025, 20:09

Compartir

El huracán Humberto, octavo del Atlántico esta temporada, subió a categoría 5 y seguirá como huracán mayor en los próximos días, informó el NHC

Huracán Humberto sube a categoría 5 afectando a EUA

El huracán Humberto, el octavo que se forma en el Atlántico en esta temporada, se fortaleció este sábado, como se esperaba, hasta alcanzar la categoría cinco, y se espera que continúe como huracán mayor por los próximos días, según el Centro Nacional de Huracanes (NHC por sus siglas en inglés).

Se espera que el huracán gire el domingo hacia el norte y se desplace al oeste de Bermudas el martes en la noche. Los vientos máximos sostenidos han aumentado a cerca de 260 kilómetros por hora (160 mph), con ráfagas más fuertes, de acuerdo con el informe del Centro de Huracanes.

Las marejadas generadas por Humberto afectarán partes del norte de las Islas de Sotavento, las Islas Vírgenes, Puerto Rico y Bermudas a partir de este domingo y hasta la próxima semana.

El más reciente informe del NHC indicó que su oleaje también afectará la costa este de EE.UU. a partir del lunes.

Mientras el NHC está también atenta a una depresión tropical que se espera se fortalezca y que en las próximas horas se convierta en la tormenta Imelda y en huracán el lunes o martes. La depresión se formó entre Cuba y las Bahamas, donde está causando fuertes lluvias en algunos sectores.

El NHC ha emitido una alerta de tormenta tropical para la costa este de Florida, desde la frontera norte de los condados de Palm Beach y Martin hasta la frontera norte de los condados de Flagler y Volusia .

También ha advertido que la costa sureste de Estados Unidos, desde Florida hasta Carolina del Norte, deben estar atentas al avance de este sistema, que se espera se dirija hacia allí la próxima semana.

El gobernador de Carolina del Sur, Henry McMaster, emitió el viernes un estado de emergencia en previsión a la tormenta, lo que también hizo este sábado el de Carolina del Norte, Josh Stein.

Comentarios